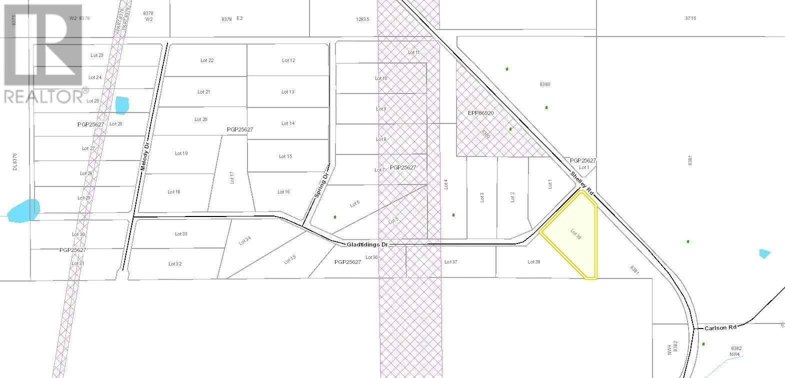
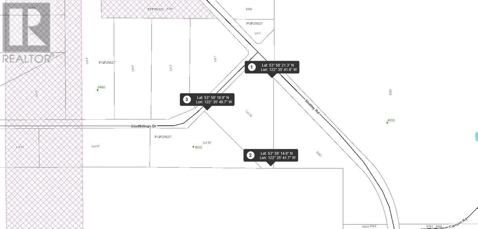
LOT 39 GLADTIDINGS DRIVE - MLS® # R2948057

$114,900

Property Details


Living Area
0 sqft.
Bedrooms
N/A
Bathrooms
N/A
Lot Size Area
5.67 ac
Taxes
N/A
Type
Vacant Land
Style
N/A
Basement
Year Built
N/A

Description

Just over 5 acres ready for development. Shared wells with hydro and gas nearby. Only 12 minutes from downtown Prince George and has many key attractions nearby - golfing in the summer, skiing in the winter. Peaceful rural setting. Mobile homes welcome in this subdivision. Lot measurements are approximate, Buyer to verify if deemed important. (id:2469)

Listing Provided By

Century 21 Energy Realty (PG)

Neighborhood Info

All information displayed is believed to be accurate, but is not guaranteed and should be independently verified. No warranties or representations of any kind are made with respect to the accuracy of such information. Not intended to solicit properties currently listed for sale.

The trademarks REALTOR®, REALTORS® and the REALTOR® logo are controlled by The Canadian Real Estate Association (CREA) and identify real estate professionals who are members of CREA. The trademarks MLS®, Multiple Listing Service® and the associated logos are owned by CREA and identify the quality of services provided by real estate professionals who are members of CREA.

REALTOR® contact information provided to facilitate inquiries from consumers interested in Real Estate services. Please do not contact the website owner with unsolicited commercial offers.

Send us your questions about this property and we'll get back to you right away.

Send this to a friend, or email this to yourself

CONTACT